原文連結在此 : https://www.hk01.com/社會新聞/423495/大埔一寵物美容院疑虐狗-區議員陪同五名狗主報案-促警調查

大埔一間寵物美容店疑似有職員虐待狗隻,大埔區區議員黃兆健表示,至今接獲超過15名狗主求助,當中有狗主憶述愛犬去年在涉事寵物美容店接受護理後,眼睛及耳朵紅腫、腳部亦疑似受傷而行動不便。
黃兆健今日(18日)下午2時多,陪同其中五名狗主到大埔警署備案,要求警方嚴正執法,循《防止殘酷對待動物條例》徹查事件。







網上今日(18日)凌晨廣泛流傳多條片段,指大埔一間寵物美容店疑似有職員虐待狗隻,至少三隻狗,在接受美容服務時被人多次拍打,有人更拿出疑似藤條的物體鞭打狗隻,被質疑過分暴力對待動物。大埔區區議員黃兆健正協助部分狗主跟進事件,至今接獲超過15名狗主求助,而他下午兩時多,陪同其中五名狗主到大埔警署備案,要求警方徹查事件。
大埔一間寵物美容店疑似有職員虐待狗隻,大埔區區議員黃兆健表示,至今接獲超過15名狗主求助,當中有狗主憶述愛犬去年在涉事寵物美容店接受護理後,眼睛及耳朵紅腫、腳部亦疑似受傷而行動不便。
黃兆健今日(18日)下午2時多,陪同其中五名狗主到大埔警署備案,要求警方嚴正執法,循《防止殘酷對待動物條例》徹查事件。
↓ ↓ ↓ 點擊下圖,看狗隻疑被寵物店職員虐待的情況 ↓ ↓ ↓
↓ ↓ ↓ 點擊下圖,看狗隻疑被寵物店職員虐待的情況 ↓ ↓ ↓
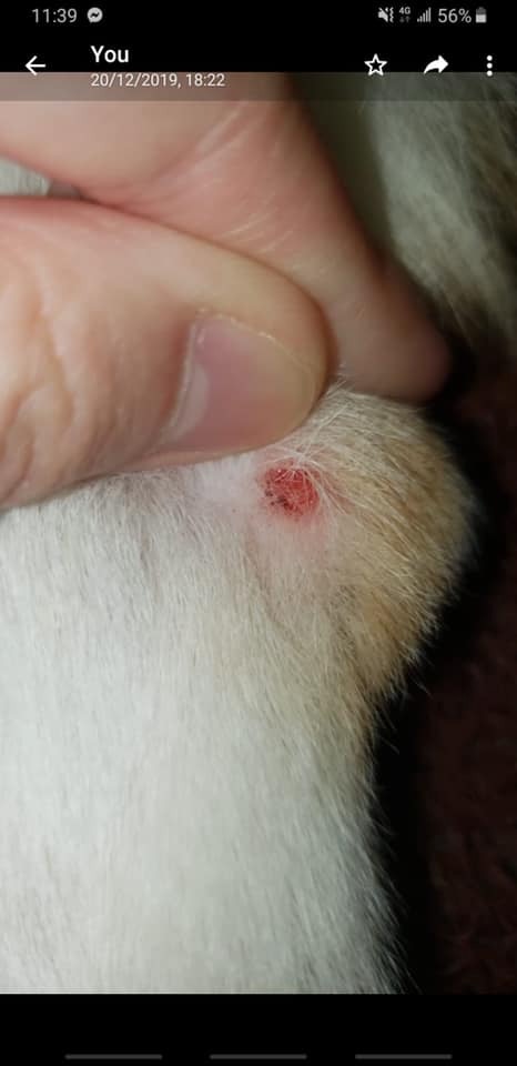
黃兆健在Facebook透露,今日(18日)有狗主求助,指2019年10月及12月光顧將愛狗帶到涉事寵物店接受護理服務後,狗隻眼睛及耳朵都出現紅腫,後腳亦疑似受傷,多日行動不便。而當時狗主已懷疑狗隻遭虐待並向寵物店查詢,惟店方解釋「沖涼時反抗整親」。
黃兆健呼籲,若狗主曾帶愛犬光顧涉事護理店,並懷疑愛犬曾遭虐待,可聯絡他求助。
聯絡黃兆健的方法如下:
(1)電話/WhatsApp:57035742
(2)Facebook :黃兆健 Siu-Kin Wong
(3)Telegram:siukinwtt
(2)Facebook :黃兆健 Siu-Kin Wong
(3)Telegram:siukinwtt